台风
-
台风旋转方向
北半球的台风按逆时针方向旋转,南半球的台风按顺时针方向旋转。由于南北半球的地转偏向力方向相反,因此在北半球的台风会围绕低压区做逆时针运动,而在南半球会绕低压区做顺时针运动。 台风 …
-
三台风(三台风水)
三级台风有多大 三级风不是台风,台风是指风力10-13级,14-15级是强台风,16级以上叫超强台风。三级风属于蒲福风级表中第四个风级,风速为3.4-5.4m/s,12-19km/…
-
台风窗户怎么防护
可以用胶带在窗户的玻璃上贴个“米”字,这样可以增加玻璃韧度,从而起到防护的作用。另外,还可以使用硬物支撑的方式来防护窗户,比如木板、家具等,放在窗户的里面或外面。 台风 台风,属于…
-
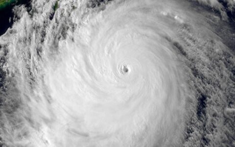
台风风力最大的部位是
台风风力最大的部位是风眼墙。风眼墙是环绕台风中心的云,也称“眼墙”。在风眼处,风比较平静,但是风眼边缘,却是风暴强度最强的地方,此即为“风眼墙”。风眼墙在风眼周围的区域,包围着风眼…
-
台风彩虹多少级
台风彩虹登陆强度为15级,50m/s(年鉴修改为16级,52m/s)。中心最低气压940百帕。强台风“彩虹”具有强度大、移动快、降雨强度大、影响范围广、破坏力强等特点。 台风彩虹成…
-
上海为什么叫魔都结界
上海被称为魔都结界是因为作为一个海边的城市,每到夏季就会非常容易受到台风的影响,而上海每次都会在预报会有台风登陆时奇迹般的躲开台风,像有结界保护这座城市一样。 也因为20世纪初旅居…
-
台风窗户关紧还是留缝
台风时应将窗户关紧,因为台风将窗户吹碎的可能性较小,而且台风通过窗户缝隙吹进屋内还可能会弄倒家中物品。 台风(属热带气旋的一种),是发生在热带或副热带洋面上的低压涡旋,是一种强大而…
-
台风天兔是哪一年哪月
台风天兔2013年9月16日生成,9月22日19时40分在中国广东省汕尾市南部沿海登陆。2013年9月23日中午进入广西境内风力持续减弱,很难确认其环流中心 ,中央气象台随后对其停…
-
台风云娜是哪一年的
台风云娜是2004年的。2004年8月12日在20时强台风云娜在浙江温岭石塘一次登陆,随后穿越乐清湾,在乐清市虹桥镇蒲岐沿海登陆,是97年以来在国内登陆最猛烈的一次台风。 云娜由一…
-
10级台风有多大
10级台风的风速在24.5米/秒-28.4米/秒,相当于89公里/小时-102公里/小时。10级狂风呼啸,汽船行动便有危险,大树起拔,农舍倒塌。 风力是指风吹到物体上所表现出的力量…
-
台风对人们生产和生活的影响
台风为人们带来丰沛的淡水。台风给中国沿海、日本海沿岸、印度、东南亚和美国东南部带来大量的雨水。台风可以驱散部分地区的热量,减轻这些地区地表沙荒的程度。台风还能增加捕鱼产量,但台风带…
-
山竹会被除名吗?盘点历史上被除名的台风
9月16日至17日,受今年第22号台风“山竹”影响,南方多地普降大雨。据广东省民政厅报告,截至9月17日8时,“山竹”台风造成深圳、珠海、江门、湛江、阳江等14个市紧急避险转移和安…
