
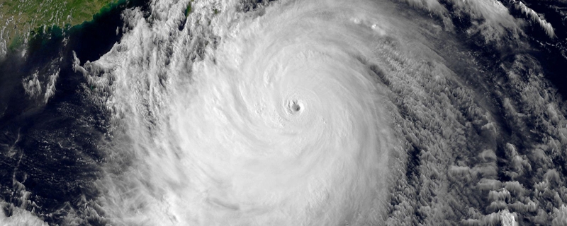
台风天兔2013年9月16日生成,9月22日19时40分在中国广东省汕尾市南部沿海登陆。2013年9月23日中午进入广西境内风力持续减弱,很难确认其环流中心 ,中央气象台随后对其停止编号。
“天兔”(USAGI,名字来源:日本;名字意义:天兔星座)是2013年太平洋台风季中第19个被命名的热带气旋,是继台风“南玛都”吹袭巴丹群岛后菲律宾大气地球物理和天文管理局两年以来首次发出最高级别的四号风暴信号的热带气旋,于2013年9月17日02时在菲律宾以东的西北太平洋洋面上生成。
本作品(图文、音视频)由用户自行上传分享,仅供网友学习交流。若您的权利被侵害,请联系 yu.jianchun@qq.com
相关推荐
-
国旗五角星的正确位置
国旗五颗五角星的大概位置在红旗的左上方,四颗小星环绕在大星的右边,每颗小星有一个角尖要正对大星的中心,并且1、4颗小星对齐,2、3颗小星对齐。大五角星代表的是中国共产党,四颗小五角…
-
mac口红怎么查条形码
MAC口红条形码一般在外壳包装上,用手机中扫条形码的软件,如:微信、支付宝里的扫一扫功能,即可查看大多使用有关机构提供的商品条码数据。然而并不是所有产品都进行了条码备案,例如部分海…
-
一般纳税人认定标准是什么
律师解析: 一般纳税人认定标准: 从事生产货物或提供应税劳务的企业,或以其为主兼营货物批发或零售的纳税人,年应税销售额大于等于50万为一般纳税人; 从事货物批发或零售业务的纳税人…
-
英雄联盟韩服怎么下载
1、打开浏览器搜索LOL韩服,找到韩服官网点击打开。 2、点击官网上方的红色按钮,之后会进入下载页面,点击页面中的韩文开始下载,下载完成后打开。 3、点击第二个选项“下一步”,这时…
-
奔驰花生大灯有双l大灯吗
奔驰花生大灯有双l大灯。2024款奔驰E级外观变化非常明显,花生大灯是致敬W211的体现,上下双LED日行灯辨识度很高,仍旧会提供数字投射大灯,全新星空格栅搭配超大三叉戟徽标,两侧…
-
网络用语pb是什么意思
网络用语pb指的是平均市净率。 平均市净率是股票投资基本分析最常见的参考指标之一,与市盈率、市销率、现金流量折现等指标一样。 市净率可用于股票投资分析,一般来说市净率较…
-
天主教和基督教一样吗
天主教和基督教不一样,主要区别表现在信仰、组织、圣经数目上,其中天主教信仰三位一体的天主和耶稣基督,且阶级严格,圣经由新约、旧约构成,而基督教信仰上帝,基本组织为教会,圣经分为旧约…
